地下樓層機房位置圖(手繪標注照片集)
概述
共 11 張照片,拍攝地下 B1F–B5F 各樓層的機電設備位置圖,分為三類:
| 類型 | 張數 | 說明 |
|---|---|---|
| B1F 機房配置平面圖 | 2 | 機房區完整平面(含房間名稱)+ 全區工程圖 |
| A/B 棟車位號碼配置圖 | 9 | B1F–B5F 各棟停車場圖,手寫標注機電設備類型 |
圖例(手寫標注符號)
B5F 圖面右側有完整圖例,適用全系列:
| 符號 | 設備類型 |
|---|---|
| ≡ | 通風機房 |
| ∇ | 雨水設備 |
| △ | 消防設備 |
| 下 | 揚水泵 |
| 多(弱) | 弱電機房 |
| Ⅲ | 電信設備 |
| ⊙ | 油脂截油設備 |
| 多(電) | 電氣機房 |
| · | 民生水箱 |
各圖說明
B1F-機房位置圖

B1F CORE 區機房配置平面圖(手繪標注版),可見主要機房:
- 左上:水電辦公室、空調機房(G-2 一般事業所)、儲電房
- 右上:儲電房、空調機房(G-2 一般事業所)
- 中央走廊:通廊、光廊
- 中央機房群:空調機室、空調裝置室
- 中下:保護電室、儲電室、發電機室、機電區
- 底部:中壓游離電室 ①(四組 H-30cm DK 水塔)、中壓游離電室 ②(六組 H-30cm DK 水塔)、UPS 機房
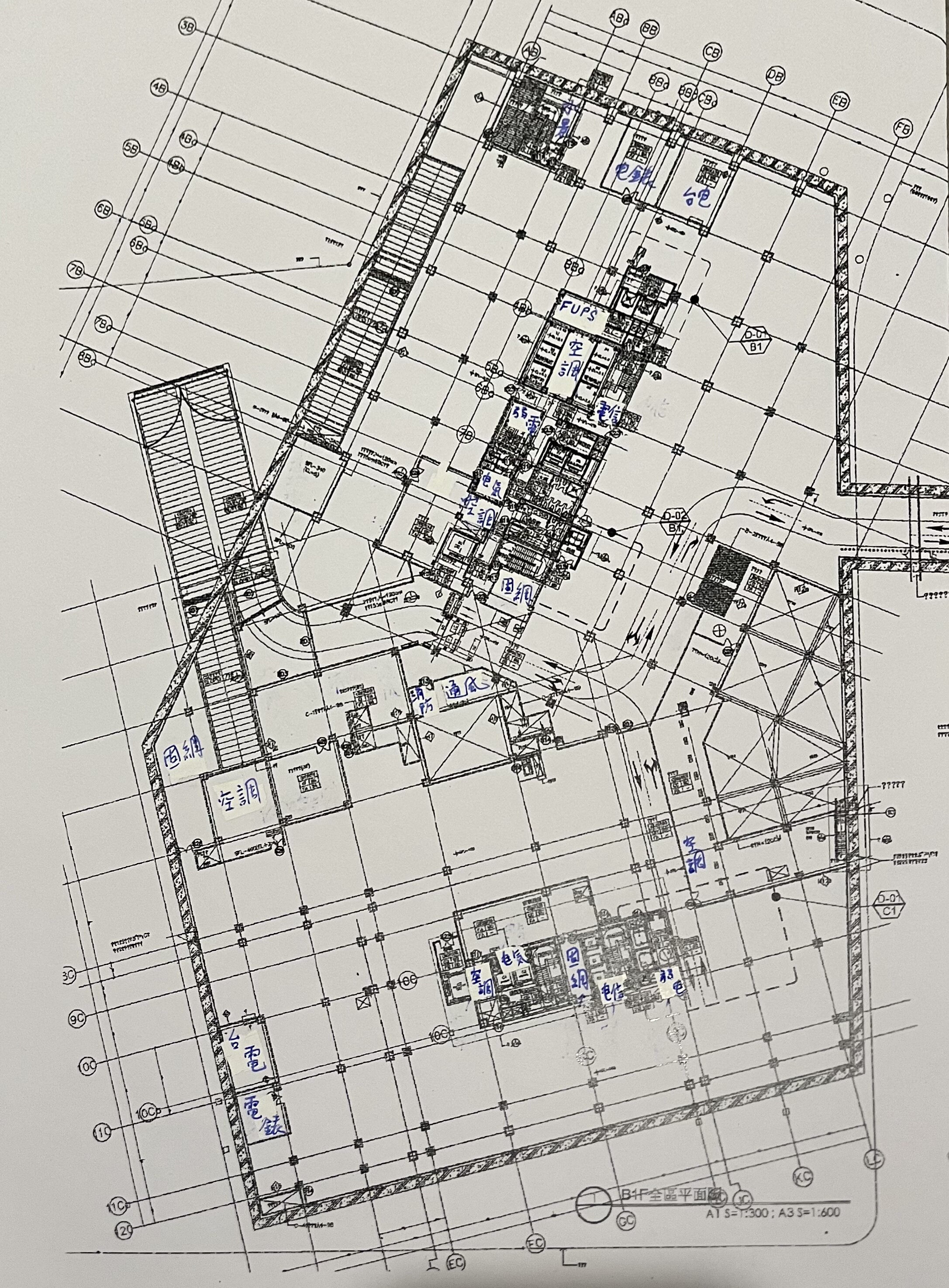
B1F-全區平面圖

工程圖比例 A1 1:1300 / A3 S=1:600,手寫標注設備類型:通風、FUPs(不斷電設備)、空調站、油庫、弱電、電氣。
A棟 B1F 車位號碼配置圖

A 棟 B1F 停車場,手寫標注:弱電(多)、電氣(多)、通風(≡);FU.PS(UPS)位置標記於中段。
A棟 B2F 車位號碼配置圖

A 棟 B2F,手寫標注:通風(≡)。中央機房區可見公共事務辦公室、收發室。
B棟 B2F 車位號碼配置圖

B 棟 B2F,手寫標注:弱電(多)、通風(≡);中央機房區可見 UPS、DC 電室、發電機。
A棟 B3F 車位號碼配置圖

A 棟 B3F,手寫標注:通風(≡)、油脂(⊙)。
B棟 B3F 車位號碼配置圖

B 棟 B3F,手寫標注:通風(≡)、電信(Ⅲ)、電氣(多)、弱電(多)。
A棟 B4F 車位號碼配置圖

A 棟 B4F,手寫標注:通風(≡)、油脂(⊙)、揚水下、弱電(多)。
B棟 B4F 車位號碼配置圖

B 棟 B4F,手寫標注:通風(≡)、電信(Ⅲ)、弱電(多)。
A棟 B5F 車位號碼配置圖

A 棟 B5F,右側有完整圖例。標注:通風(≡)、雨水(∇)、消防(△)、揚水(下)、弱電(多)、民生水箱(·)。
B棟 B5F 車位號碼配置圖

B 棟 B5F,左側有完整圖例。標注:通風(≡)、揚水(下)、雨水(∇)、弱電(多)、電信(Ⅲ)、消防(△)、油脂(⊙)、電氣(多)。